- NSW
- NSW
868 land & development properties for sale in NSW
- New
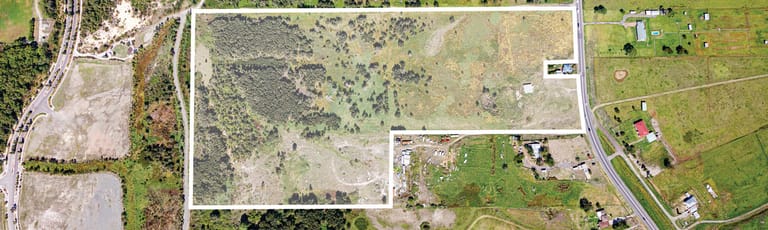
Significant 14ha* development site within Williamtown defence and aerospace precinct
14ha* site area - Redevelopment opportunity - Within the Wiliamtown defence precinct
Matt Kearney, Jacob Siever
Price Contact Agent Address 52 Cabbage Tree Road, Williamtown NSW 2318
For Sale by Expressions of Interest closing 7th May 2026 at 4.00pm Positioned within the established Williamtown aerospace and defence precinct, this substantial landholding presents a considered...
Size 14 ha Property Type Development / Land - UpdatedAnthony Paul

Price $1,500,000 plus GST if applicable Address 43 Lake Albert Road, Wagga Wagga NSW 2650
Prominently positioned on Lake Albert Road, this versatile two-level commercial property offers outstanding exposure and flexibility. Constructed of concrete block with an iron roof, the building...
Size 2,017 m² Property Type Development / Land - AUCTION 2 Jun
Rare ThreeStreet Fronted Industrial Holding
Fully fenced and secure site - Substantial Yard Area - 4 Driveways & High Power
Esin Akpinar
Price Commercial Auction Address 49 Clapham Road, Regents Park NSW 2143
Commercial Property Partners is proud to exclusively present this exceptional freestanding industrial asset, positioned in the tightly held Regents Park precinct. This prime industrial opportunity...
Size 1,951 m² Property Type Development / Land - Ryan McMahon, Damen Astey

Price Expressions of Interest | Closing 30th April 2026 Address 6 Barry Avenue, Mortdale NSW 2223
CPG are pleased to present to market 6 Barry Avenue, Mortdale a substantial freehold industrial holding positioned within the tightly held Peakhurst/Mortdale industrial precinct, the largest and...
Size 1,676 m² Property Type Development / Land - Cooper Meehan, Darren Zammit

Price Contact Agent Address 18 Airds Road, Minto NSW 2566
LJ Hooker Commercial Macarthur are pleased to provide to market 18 Airds Road, Minto for sale via private treaty. This property comprises of a functional freestanding industrial facility of concrete ...
Size 2,365 m² Property Type Development / Land - Craig Tyrrell

Price New Price! $975,000 (+GST if applicable) Address 773 Racecourse Road, Leeton NSW 2705
The MIA Club, 773 Racecourse Rd, Leeton Step into history and embrace the potential of The MIA Club, a landmark property with boundless future possibilities. Set on a sprawling 4-acre site, this...
Size 1.62 ha Property Type Development / Land Prized Riverfront Residential Development Site. TOD* Mapped. Come and Change the Face of Wyong Forever.
Scott Morris, Karl Snopek
Price $7,000,000 (GST na) Address Wyong NSW 2259
This unique development site combines 5 lots for a total of 5225sqm with approximately 60m of dual street frontage to both Church Street and River Road. Situated in the heart of Wyong, this site...
Size 5,225 m² Property Type Development / Land - Robert Pignataro, Akanksha Chaudhari

Price For Sale $420,000 Address 124-128 Lee Street, Wellington NSW 2820
Discover an exceptional vacant land offering in the vibrant centre of Wellington, presenting endless possibilities for developers and investors. This versatile 1,018sqm site is perfectly positioned...
Size 1,018 m² Property Type Development / Land - AUCTION 16 AprLaura McKay, Mitchell Wynn, David Highland

Price Commercial Auction Address 11 The Esplanade, Cronulla NSW 2230
Occupying a prized absolute waterfront position, this landmark site offers exceptional scope to unlock value through a high-quality redevelopment (STCA). Boasting expansive frontage to The Esplanade...
Size 588 m² Property Type Development / Land 919 m² Corner Block Zoned R4, Just Steps from Campbelltown CBD
919m2 Level Allotment - Street Frontage approx. 20m & 46m - Potential for up to 8 storeys (STCA)
Tim Knapp
Price Expressions of Interest Address 25 Chamberlain Street, Campbelltown NSW 2560
Unlock exceptional potential with this rare 919 m² level Corner Block at 25 Chamberlain Street, zoned R4 High Density Residential (up to 26m/8 storey's) and a wide range of commercial, business,...
Size 919 m² Property Type Development / Land Prime 4.47 Ha* Landholding in Western Sydney's Aerotropolis
Strong interim holding income - Immediate access to The Northern Road - Zoned AGB Agribusiness
Andrew Sukkar, Gabrielle Maloof
Price Expressions of Interest Address 57-73 Campbell Street, Luddenham NSW 2745
ReVest Property Group & Wetherill Park Industrial is pleased to present 57-73 Campbell Street, Luddenham to the market for sale via Expressions of Interest closing on Thursday the 11th of March, at...
Size 4.47 ha Property Type Development / Land Strategic commercial landholding with income and upside
Gross income $178,662 p.a.* plus GST - 6721sqm land size - Lease to Hudson Mitre 10, exp 2028
Joe Olsen, Brad Crouch
Price Contact Agent Address 65 Aberglasslyn Road, Rutherford NSW 2320
For Sale by Expressions of Interest closing Thursday 26th March 2026 at 4pm A substantial 6,721sqm* landholding improved by a retail and warehouse facility plus workshop, leased to Hudson Mitre 10...
Size 6,721 m² Property Type Development / Land - James Economides, Kerry-Anne Nielsen

Price For Sale $2.7mil Address 534 Military Road, Mosman NSW 2088
Key Property Information: Land Area: 259m2* | Floor Area: 280m2* | Car Spaces 2 | Zoning E3 Productivity Support - Tenure Type | Tenanted Investment KAN Property is proud to present 534 Military...
Size 259 m² Property Type Development / Land - Tim Jones, Michael Farina

Price Contact Agent Address 101-113 Keira Street, Wollongong NSW 2500
DA for a seven-storey shop-top housing development 27 residential units and three ground floor commercial shops Three separate titles forming an imposing 1,058m2 land holding Valuable holding...
Size 1,058 m² Property Type Development / Land - Anthony Chapman

Price Commercial Auction Address 18L Camp Road, Dubbo NSW 2830
Discover this rare and compelling opportunity to acquire a combined freehold winery estate & hospitality business, offered strictly as an interdependent sale. Red Earth Estate comprises a substantial ...
Size 8.34 ha Property Type Development / Land 2,000sqm Industrial Hardstand Yard - Occupy or Develop
Total site area of 2,000sqm* - Fully road based hard stand yard - Zoned E4 - General Industrial
Owen White
Price Expressions of Interest Address 26B Coombes Drive, Penrith NSW 2750
RWC Western Sydney in conjunction with PRD Commercial as exclusive marketing agents are pleased to present 26B Coombes Drive, Penrith to the market via Expressions of Interest. Introducing a rare ...
Size 2,000 m² Property Type Development / Land - Under OfferAndrew Pellow

Price Contact Agent (under offer) Address 286 Boiling Down Road, Rowan NSW 2650
An exceptional opportunity awaits at 286 Boiling Downs Road, Rowan, offering 100 hectares (247 acres) of RU1-zoned land poised for future growth and development. Positioned at the edge of Wagga...
Size 100 ha Property Type Development / Land - Andrew Pellow, Craig Tyrrell

Price Priced from $200,000 (+ GST) Address Stage 3 Vance Road, Leeton NSW 2705
McGrath Real Estate is pleased to be the exclusive agent in the release of Stage 3 of the highly sought-after Vance Industrial Estate, Leeton. Leeton is located in the Riverina Region of NSW Only...
Size 4,000 m² Property Type Development / Land Prime Corner Freehold Retail/Office & Residential Opportunity in Bankstown
6 carspaces - Land Area 360sqm - Prominent Corner Location
Esin Akpinar
Price Contact Agent Address 361 Hume Highway, Bankstown NSW 2200
Commercial Property Partners presents For Sale this high-profile corner site which offers exceptional exposure in one of Bankstown's busiest precincts. A rare two-storey freehold building with...
Size 360 m² Property Type Development / Land Two adjoining industrial sites within Hunter Business Park
Lot 148 - 3,890m²* - Lot 149 - 3,504m²* - Ready to build on
Trent Robertson
Price Please contact agent Address Lots 148 & 149 Imperial Avenue, Black Hill NSW 2322
Lots 148 and 149 offer ultimate versatility for logistics and warehousing operations seeking maximum efficient use of their site. These lots offer maximum flexibility for development and are...
Size 7,394 m² Property Type Development / Land
Proposed Developments
Zoning


